 
				
				
				
			台風24号が近畿地方を直撃します。
この直撃というのは日本列島を分断するのですが、右側と左側で風の強さが違います。
台風21号の場合、大阪の西側を通りましたので、JR西日本などでは早くから警戒し、鉄道の運休を決めていました。
今回の台風24号がどのような進路をとるか警戒する必要があります。
では、なぜ台風の右側と左側で風の強さが違うのでしょうか。
コリオリのちから
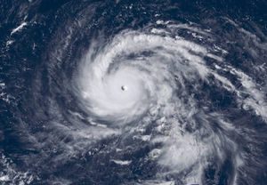
 テレビなどで台風の気象画像を見たことがあると思いますが、台風は全て左巻き(反時計回り)です。
テレビなどで台風の気象画像を見たことがあると思いますが、台風は全て左巻き(反時計回り)です。
これは北半球だけの現象で、南半球では逆回転になります。
なぜこのようなことが起こるかというと、地球の自転が関係しています。
地球はゆっくり回転しているので、北半球では運動方向に向かって常に右向きに作用する力が働くので、台風も右へ旋回しながら進みます。
台風の目はとても気圧が低く、周囲の空気を引き込もうとしますが、台風の進行方向から右へ逃げようとする空気を台風の中心部に引き込もうとすると左巻きの渦になります。
これがコリオリのちからと呼ばれるものです。
北半球では常にこのコリオリのちからが働いているので水洗トイレの水が吸い込まれる渦も必ず左巻きになります。
台風と偏西風
地球上では常に同じ方向に吹く恒常風と季節によって風向きが変わる季節風があります。
日本列島における恒常風で代表的なのが、みなさんもよく耳にする偏西風です。
偏西風は緯度35~60度の地域で西から東へ吹く風で、日本列島では南西から北東に向かって一年中吹いています。
台風が真南から接近しても日本列島に近づくと急に速度が上がり北東方向へ流されてしまうのも偏西風による影響です。
 さて、日本に上陸する台風について、一般的に風が強いのは進行方向の右側といわれています。
さて、日本に上陸する台風について、一般的に風が強いのは進行方向の右側といわれています。
この理由のひとつめは、先ほども説明したコリオリの力により台風は左巻きの渦だということです。
ふたつ目の理由は、この左巻きの台風に常に西から東へ吹く偏西風の影響です。
左巻きの風に左(西)から右(東)に風が吹くとどうなるでしょうか。
台風の左側では偏西風が真っ向からあたるので台風の強風は力を失い弱くなります。
逆に台風の右側では偏西風による追い風が加わって風はさらに強力なものになるということです。
こういった理由で台風の左側より右側のほうが風が強いということになります。
台風の右側に住む方は強風、暴風に注意してください。
